Keyword Category Mapping Documentation
Keyword Category Mapping Keyword Category Mapping is used to manage the mapping between keywords and case categories throughout the system to establish connections between cases and the legal library. These mappings enable effective searches across the keyword category mapping, case view, and legal library modules systematically across the platform.
Accessing Keyword Category Mapping
- Navigate to the Settings section by clicking the settings icon in the header bar on the left side.
- Under the Legal Library section, click on Keyword Category Mapping

Navigating to Keyword Category Mapping in Settings
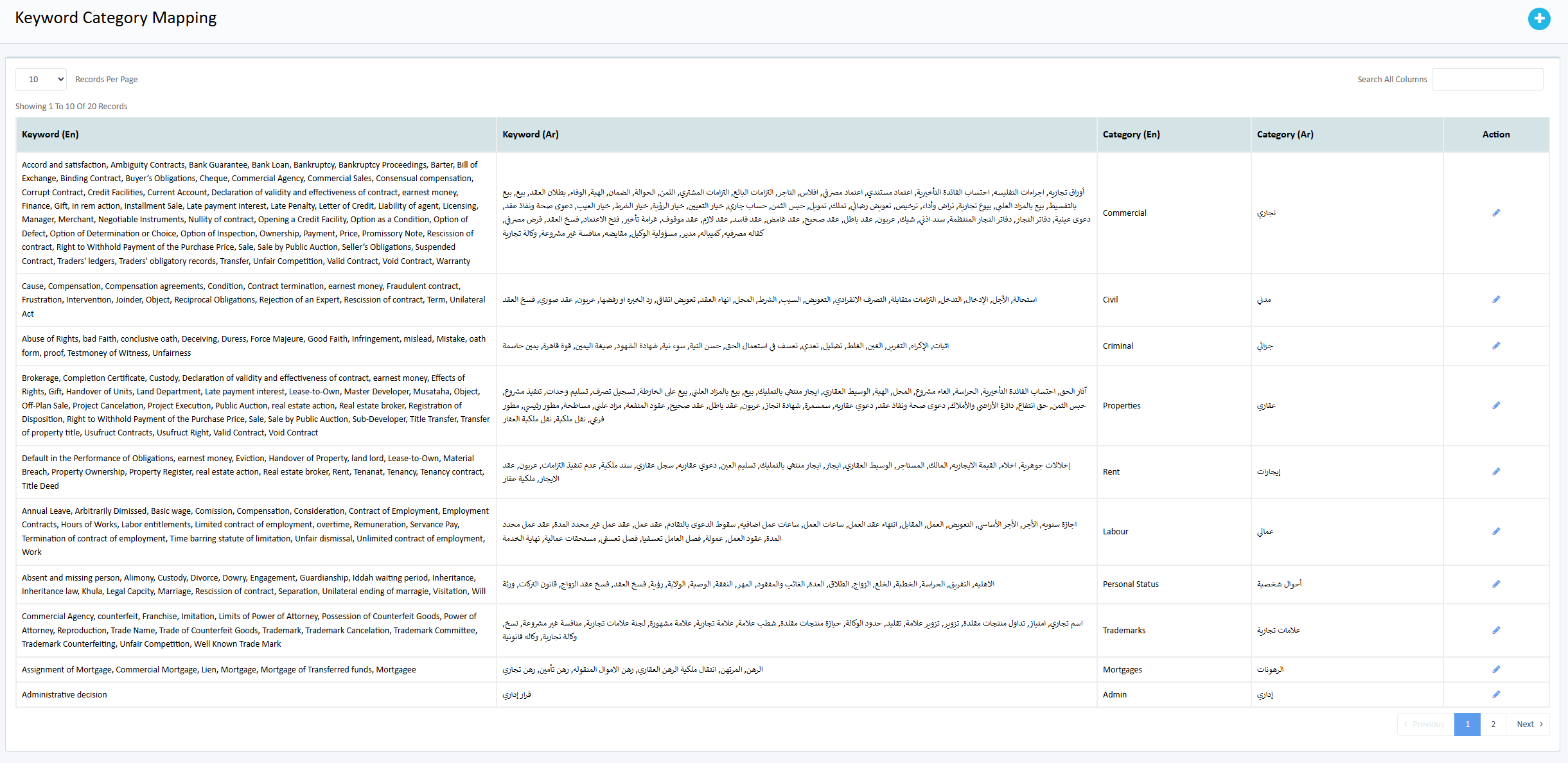
Managing Existing Keyword Category Mappings The Keyword Category Mapping page displays all mappings in a table with:
- Keyword name (English and Arabic)
- Category name (English and Arabic)
- Edit action button
You can:
- Add new keyword category mappings by clicking the Add New button in the top right corner
- Search across all columns to find specific mappings
- Edit a mapping by clicking the edit button in the action column

Existing Keyword Category Mappings Grid View
Adding a New Keyword Category Mapping
- On the Keyword Category Mapping page, click the Add New button in the top right corner
- In the form, enter:
- Case Category: Select the case category from the dropdown using single selection
- Keyword: Select one or more keywords from the dropdown using multi selection
- Click Submit to create the new keyword category mapping

Adding a new Keyword Category Mapping
Reference:
- Case Category field references the Case Categories Master
- Keyword field references the Keywords Master
Was this article helpful?
That’s Great!
Thank you for your feedback
Sorry! We couldn't be helpful
Thank you for your feedback
Feedback sent
We appreciate your effort and will try to fix the article